多摩モノレール/上北台
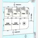
価格 :2,730万円
土地面積:124.57m²
営業時間 : 平日9:00~20:00 定休日 : 水曜日
希望連絡時間
お問い合わせ前に、プライバシーポリシーをお読みいただき、同意の上確認画面へ進んでください。